Брокер
Бояна Личен телефон: 0899666543
Посетена 109 пътиПубликувана в 17:05 на 27 Декември 2025
Обща информация
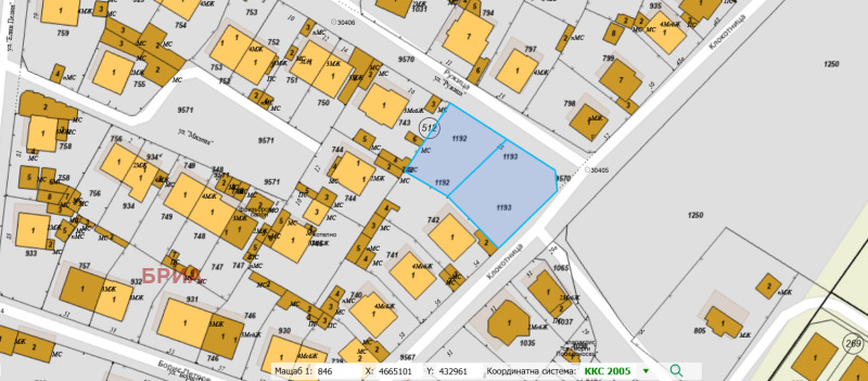
Квадратура1195 m2
РегулацияДА
ТокДА
ВодаДА
Допълнителна информация
Предлагам имот ЗА ПРОДАЖБА ИЛИ СРЕЩУ ОБЕЩЕТЕНИЕ 25% в квартал Прослав. упи 1195кв. м с РЗП- 2400кв. м КИНТ 2, парцелите са със права обратна вода ток и асфалт. ! За повече информация Бояна Георгиева.
P-20167043
Особености
За жил.строителство
Страница на обявата
Брокер
Бояна Личен телефон: 0899666543

