Брокер
Обща информация
Допълнителна информация
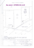
Продава се имот с площ 5000 кв. м. . с много добра гледка към морето. Имотът административно се намира в землището на с. Кичево, над м-т 'Добрева чешма' - кв. Виница -гр. Варна. Имотът е предназначен за жилищно строителство. Има изтекъл ПУП! Попада в градоустройствена зона 'Жм' с показатели на застрояване:
КИНТ 0, 8
Плътност 40%
кота корниз до 10 метра, до три етажа.
Имотът е с правилна форма. Подходящ е и за малък комплекс от къщи, по-голямо имение, вила и др. . Намира се на около 500 метра от най-близките къщи и съществуващ път. Овен за собствено ползване този имот е много подходящ и за инвестиционни цели поради развитието и засиления интерес в района. В съседство, през един имот се продава друг имот с квадратура 6000 кв. м. Вторият имот е със същия статут и градоустройствени параметри и показатели на застрояване, както на имота от 5000 кв. м. ! Могат да бъдат купени заедно и двата имота и по отделно на същата цена на квадратен метър. Прилагаме в снимките част от документацията за регулацията на имота и ПУПа. Запознати сме с цялата история от придобиването на собствеността на имота, управлението през годините и сегашния му статут и ситуация. Агенцията ни се намира в пряк контакт със собственика. Агенцията ни разполага с ИЗКЛЮЧИТЕЛНИТЕ ПРАВА, за продажба на имотите и бихме могли да договорим добри и гъвкави условия за сделка.
БЛАГОДАРИМ ВИ, ЧЕ ОТДЕЛИХТЕ ВРЕМЕ ЗА ТАЗИ ОБЯВА! ЩЕ СЕ РАДВАМЕ ДА СТАНЕТЕ НАШИ КЛИЕНТИ! БЪДЕТЕ ЗДРАВИ!
За допълнителна информация и огледи: 0889 498 882 Самуил Желев

















