Брокер
Обща информация
Допълнителна информация
Поземлен имот с панорама към Стара планина отлична възможност за жилищно строителство
Представяме Ви атрактивен поземлен имот, разположен едва на 300 метра южно от новата регулация на с. Здравец, съгласно действащия Общ устройствен план. Локацията съчетава спокойствието на природата с перспективата за бъдещо развитие на района.
Имотът впечатлява с изключителна панорама над 50 км открит хоризонт с директна гледка към Стара планина. Обграден е от естествена дъбова гора, чист въздух и изградени екопътеки, което го прави идеален както за постоянно живеене, така и за изграждане на ваканционен дом.
Районът се характеризира с тишина, простор и ниска застроеност, а същевременно осигурява бърз и удобен достъп до града. Отличен избор за инвеститори или частни лица, търсещи парцел с потенциал, панорама и природна среда.
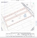
Парцел с отлични параметри за жилищно строителство на 15 км от Варна
Представяме Ви два съседни поземлени имота с общо лице на път от 76 метра и дълбочина 208 метра изключително подходящи както за изграждане на фамилни къщи, така и за бутиков жилищен проект.
Теренът разполага с естествен извор, осигуряващ възможност за резервно водоснабдяване ценен ресурс и допълнително предимство при бъдещо застрояване. За имота са изготвени схеми за водоснабдяване, парцеларен план за комуникации, както и становище за електрическо присъединяване от ЕРП Север Варна, което значително улеснява инвестиционния процес.
Съгласно влязъл в сила ПУП ПРЗ, имотът попада в зона за нискоетажно жилищно строителство със следните показатели:
Плътност на застрояване 25%
Кинт 0. 6
Кота корниз до 7 м
Озеленяване 60%
Локацията е на 15 км южно от града, с бърз и удобен достъп по новоизграден път съчетава спокойствието на природната среда с лесната връзка до градската инфраструктура.
Имот с отличен инвестиционен потенциал, ясни устройствени параметри и готовност за развитие.
Инвестиционен имот с потенциал за комплекс от затворен тип район с изградена среда и перспектива
Имотът е изключително подходящ за реализиране на комплекс от затворен тип с еднофамилни къщи както за постоянно обитаване, така и за туристическо настаняване. Параметрите на застрояване и мащабът на терена позволяват обособяване на модерна, добре организирана жилищна среда с контролиран достъп и високо ниво на комфорт.
В непосредствена близост се намира успешно функциониращият ЕКО комплекс и хотел Здравец ,




