Обща информация
Допълнителна информация
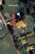
Амзин и Партньори ЕООД предлага за продажба масивна къща на калкан във с. Плана махала Календерова, район Панчарево. Намира се на тихо и спокойно място с целогодишен достъп. Сградата е с РЗП 220кв. м. , построена в панорамен парцел с площ 1053кв. м. Разпределението на къщата е както следва: Сутерен, котелно помещение и две стаи. Първи етаж: дневна с, кухненск бокс, две спални, балкон, баня с тоалетна и коридор. Втори етаж: дневна с, кухненски бокс, две спални, балкон, баня с тоалетна и коридор.
Трети етаж: под-покривен, просторна стая, багажно помещение покривна тераса. В двора има построен масивен гараж с площ 26кв. м. ,както и стара стопанска постройка с площ от 40кв. м. Изградена външна чешма както и запечатан 10м. бунар. Имот с много потенциал на отлична локация.














