Брокер
Обща информация
Допълнителна информация
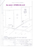
Продават се два имота с много добра гледка към морето с обща площ 11000 кв. м. . Имотите административно се намира в землището на с. Кичево, над м-т 'Добрева чешма' - кв. Виница -гр. Варна. Имотите са предназначен за жилищно строителство. Имат изтекъл ПУП! Попадат в градоустройствена зона 'Жм' с показатели на застрояване:
КИНТ 0, 8
Плътност 40%
кота корниз до 10 метра, до три етажа.
Имотите са правилна форма. Намират се през един имот. Подходящи са за изграждане на комплекс от къщи, по-големи имения, вили и др. . Намират се на около 500 метра от най-близките къщи и съществуващ път. Овен за собствено ползване тези имоти са много подходящ и за инвестиционни цели поради развитието и засиления интерес в района. Единият имот в с квадратура от 6000 кв. м. , а вторият имот е с квадратура 5000 кв. м. И двата имота са с един и същи статут, в регулация с изтекъл ПУП и градоустройствени параметри и показатели на застрояване! Могат да бъдат купени заедно и двата имота и по отделно на същата цена на квадратен метър. Прилагаме в снимките част от документацията за регулацията на имотите и ПУП-овете. Запознати сме с цялата история от придобиването на собствеността на имотите, управлението им през годините и сегашния им статут и ситуация. Агенцията ни се намира в пряк контакт със собственика. Агенцията ни разполага с ИЗКЛЮЧИТЕЛНИТЕ ПРАВА, за продажба на имотите и бихме могли да договорим добри и гъвкави условия за сделка.
БЛАГОДАРИМ ВИ, ЧЕ ОТДЕЛИХТЕ ВРЕМЕ ЗА ТАЗИ ОБЯВА! ЩЕ СЕ РАДВАМЕ ДА СТАНЕТЕ НАШИ КЛИЕНТИ! БЪДЕТЕ ЗДРАВИ!
За допълнителна информация и огледи: 0889 498 882 Самуил Желев

















